当前位置:
首页
>
新闻中心
>
公示公告
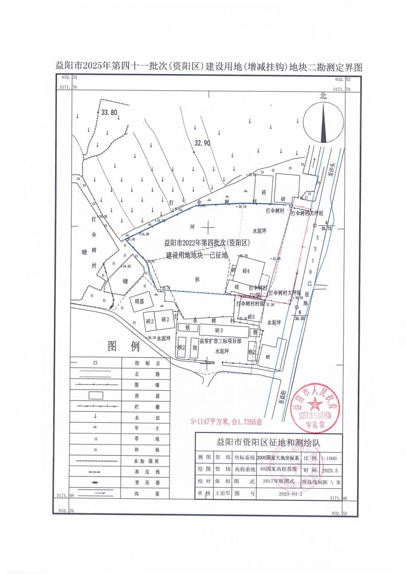
益阳市资阳区人民政府关于益阳市2025年第四十一批次(资阳区)建设用地(增减挂钩)项目征收土地预公告
益资政预征告字〔2025〕10号
发布时间:2025-07-29 16:46
信息来源:区征补事务中心
作者:
浏览量:
【字体:
大
中
小
】
扫一扫在手机打开当前页
【打印本页】
【关闭窗口】